조황관리HOME / 조황관리 / 상세정보

제목 : 진프로피싱 9/19, 20, 21일 타이라바 조황!!
등록일 : 2025-09-22
#선사조황 #믿고타는진프로피싱
#참돔 #타이라바 #빠가
#뻥튀기조황X #30이하X
#사진촬영후나온고기X
#정직한조황
#전좌석초고속충천기

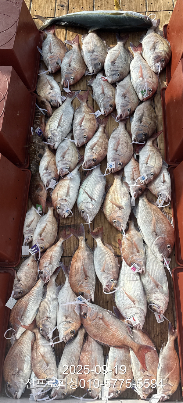
*19일

15분 모시고 다녀왔습니다.

기상이 좋지 못하여 포인트 진입이 쉽지 않았습니다.

터지고 빠지고 패턴 찾기가 쉽지 않아 잡으시는 분만 계속 잘 잡아내는 날이었습니다.

*20일

18분 모시고 다녀왔습니다.

오늘 역시 터지고 빠지고... 최고 62 외 5짜 다수.

6짜 이하는 줄자 사진을 안찍지만 시즌 초반이라 몇컷만 올려 봅니다.

5짜 다수와 4짜들 3짜는 몇개 안되는 호조황입니다.

*21일

이번 물때가 약사리라 조류가 바람을 이기지 못하여 꿈쩍을 안해 고기잡기가 쉽지 않은 날이었습니다.

그래도 터지고 빠지는 와중에 두루두루 잡을만큼 잡고 기본 이상은 하고 입항 하였습니다.

오늘은 협조를 많이 안해주셔서 사진이 몇장없네요~~^^;;

기상이 좋아지는 수요일부터 쭉~~ 타이라바 출항합니다.

타이라바는 전문선사 진프로피싱과 함께해요 ♡

☎️ 예약, 문의 010-5775-5594
1758511741180.jpg


1758511741246.jpg


1758511741319.jpg


1758511741347.jpg


1758511741431.jpg


1758511741452.jpg


1758511741470.jpg


1758511747907.jpg


1758511747922.jpg


1758511748023.jpg


1758511748149.jpg


1758511748239.jpg


1758511748327.jpg


1758511748428.jpg


1758511748539.jpg


1758511748594.jpg


1758511748701.jpg


1758511748788.jpg


1758511748886.jpg


1758511748988.jpg

 

===== 여수 진프로피싱 예약안내 ======

안녕하세요! 여수 진프로피싱입니다.
먼길 찾아주시는 조사님들을 위해 항상 최선을 다하겠습니다. 
■ 여수 진프로피싱 실시간 예약 바로가기
http://jinpro.sunsang24.com/

■ 여수 진프로피싱 밴드 바로가기
https://band.us/@jinprotv


조황카드.gif
 
Top